Browse All Services

Hydrographic & Bathymetric Surveying

Precision seabed and underwater terrain mapping for marine, coastal, and infrastructure projects.

Quick Contact
Hydrographic Survey Equipment
Sub-Meter Accuracy
Multi-Beam Sonar
Tidal Corrections

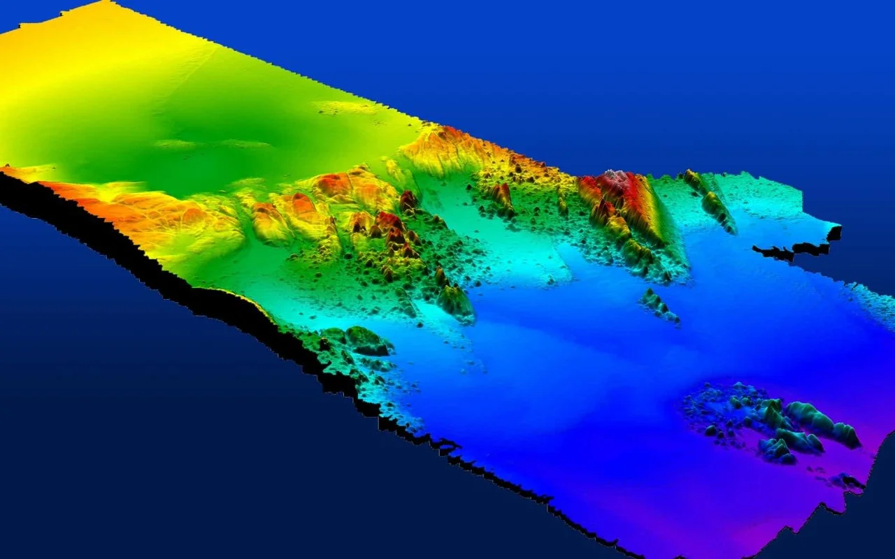
Accurate Underwater Surface Models for Marine Projects

Hydrographic and bathymetric surveys measure water depths, seabed profiles, and submerged features using calibrated single-beam and multi-beam echo sounder systems. These surveys support port development, dredging operations, reclamation works, and marine infrastructure planning by providing accurate underwater surface models.

Our Methodology

Delivering excellence through a proven three-stage workflow

1

Control & Calibration Setup

Establishment of horizontal and vertical control, tide monitoring, and equipment calibration prior to survey execution.

2

Sonar Data Acquisition

Collection of depth data using single-beam or multi-beam systems integrated with GNSS positioning.

3

Processing & Surface Modeling

Tidal correction, data cleaning, seabed modeling, and validation before final chart production.

Applications

Industry sectors and use cases we serve

Port & Marina Development

Assesses seabed depth and underwater conditions for dock expansion and marine structures

Dredging Operations

Verifies excavation levels and calculates dredged volumes

Coastal Reclamation

Supports fill estimation and shoreline profiling

Subsea Pipeline & Marine Infrastructure

Maps underwater alignments and crossing profiles

Deliverables

What you receive at the end of every project

  • Bathymetric surface models (DTM)
  • Digital seabed terrain models
  • Depth contour maps
  • Longitudinal and cross-section profiles
  • Dredge volume calculations
  • Hydrographic charts
  • XYZ data files
  • GIS layersSHP / Geodatabase
  • Survey report with tidal corrections and accuracy statement
Deliverable example 1
Deliverable example 2

Technology Stack

Industry-leading equipment and software

Single & Multi-Beam Echo Sounders equipment

Single & Multi-Beam Echo Sounders

Advanced surveying technology for precision data capture and analysis.

Side-Scan Sonar equipment

Side-Scan Sonar

Advanced surveying technology for precision data capture and analysis.

GNSS RTK Positioning equipment

GNSS RTK Positioning

Advanced surveying technology for precision data capture and analysis.

Motion Reference Units equipment

Motion Reference Units

Advanced surveying technology for precision data capture and analysis.

Hypack / EIVA NaviPac equipment

Hypack / EIVA NaviPac

Advanced surveying technology for precision data capture and analysis.

FAQS

Frequently Asked Questions

Our surveys achieve vertical accuracy of ±10-20cm and horizontal accuracy of ±0.5-1m, meeting IHO S-44 standards for Order 1 surveys.

We install temporary tide gauges or use real-time tidal modeling, and all depths are reduced to a common chart datum (e.g., Mean Sea Level or Lowest Astronomical Tide).

Yes, we deploy different equipment for shallow water (single-beam sonar, lead lines) and can safely operate near jetties, platforms, and coastal structures.

For dredging, we provide pre- and post-dredge surveys, volume calculations, cross-sections, and compliance reports showing achieved depths vs. design.

Have more questions?

Our team of experts is ready to assist you with your specific project requirements across the GCC.

Send us a message